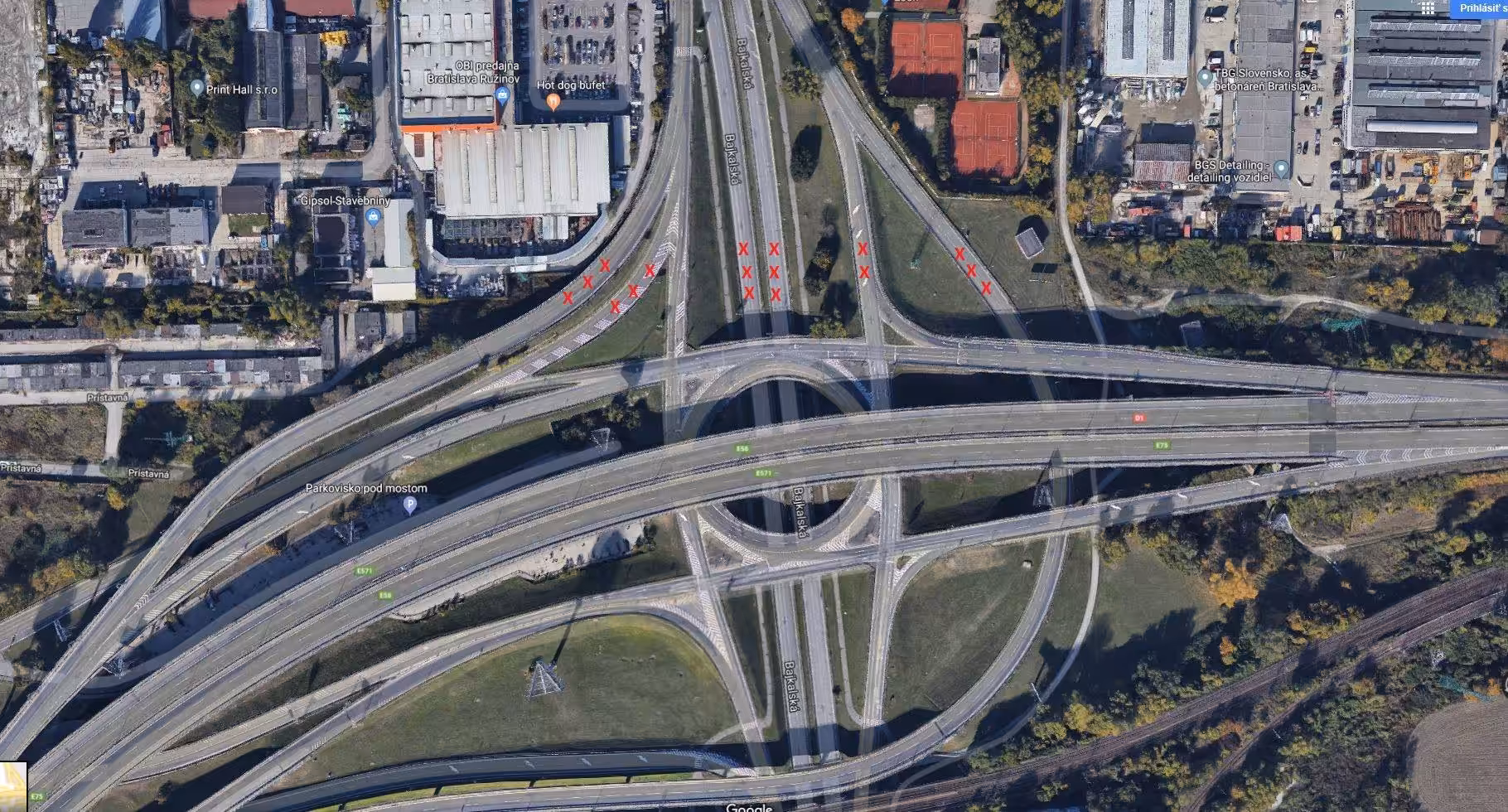
S prestavbou tejto mimoúrovňovej križovatky začala spoločnosť D4R7 Construction v polovici februára. Aj keď bolo otvorenie tohto úseku stanovené na august, vyzerá to tak, že prejazd pod Prístavným mostom dostane prvú várku vozidiel už 10. Augusta.
Tento úsek pod diaľničným obchvatom Bratislavy spadá do prác na druhej etape. Ide práve o zjazd z diaľnice D1 od Trnavy v smere na Slovnaftskú ulicu a taktiež zjazd z D1 z Petržalky na Slovnaftskú. Hlavné mesto v spojení so zhotoviteľom to oznámilo minulý týždeň. Dnes informácie aktualizovalo, k predčasnému sprejazdneniu dôjde 10. Augusta 2019.
Musím povedať, že obyvatelia Bratislavy aj cestujúci prechádzajúci cez hlavné mesto Slovenskej republiky, sme si tak nejako na uzáveru zvykli. Aj keď križovatka Bajkalská – Prístavná dostáva momentálne zabrať najviac, stalo sa to na tých niekoľko mesiacov súčasťou infraštruktúry mesta.
Konečne by sme sa ale mali dočkať uvoľnenia tohto zaťaženého úseku, pretože mesto vydalo minulý týždeň vyhlásenie, že zjazdy z Prístavného mosta sa uvoľnia. A to do konca tohto týždňa. Aj keď iba na jeden smer z každej strany, myslím si, že by to mohlo odľahčiť každodenný kolaps na priľahlých uliciach. Dva kľúčové výjazdy teda budú hotové a dostupné. Alebo len na oko?
Každopádne treba hlavne dokončiť celý úsek, ktorý sa nachádza pod Prístavným mostom. Po sprejazdnení spomínaných výjazdov sa začnú stavebné firmy naplno venovať výjazdom na diaľnicu a kruhovému objazdu. Úprimne dúfam a pevne verím, že dostane frekventovaná križovatka isté organizačné zmeny, aby bola doprava plynulejšia.

Súčasťou tejto etapy sú výkopové práce, dva mostné objekty či prekládky inžinierskych sietí. Asi ako každý vodič, ktorý prechádza popri tomto uzlíku šťastia, nakúkam ako pokračujú stavebné práce. Môžeme a tešiť na krásny nový asfalt, ktorý (dúfam) by mal vydržať viac ako ten tankodróm, po ktorom sa dala otestovať kvalita tlmičov.
Počas prvej etapy prestavby mimoúrovňovej križovatky bolo zrealizovaných približne 32-tisíc kubických metrov (m3) výkopov, použitých 1550 m3 štrkodrvy, približne 960 m3 CBGM (cementom spevnené kamenivo) a 2600 ton asfaltu. Nainštalovaných bolo 160 metrov trvalých betónových zvodidiel a 700 metrov trvalých oceľových zvodidiel.
Test Ford Mondeo 2.0 ST-Line AWD, liftback s bezkonkurenčným podvozkom
Zdroj: HNonline, D4R7





































